Hurricane Melissa about to make landfall in Jamaica

news picture
October 28, 2025

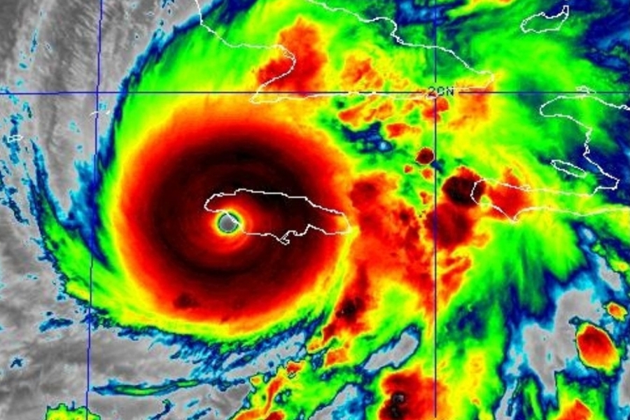
Jamaica - Hurricane Melissa is about to make landfall on Jamaica's southwestern coast at its strongest intensity. The National Hurricane Center (NHC) has issued urgent warnings, stating that this is the "Last chance to protect your life at all costs."

Hurricane hunters have recorded wind gusts of 252 mph at 300 feet above the ocean surface. Maximum sustained winds have reached 185 mph, with gusts exceeding 220 mph in the eyewall. The Black River area is expected to experience the most severe conditions as the storm's eye approaches.

Meteorologists have described the situation as a worst-case scenario. The hurricane's eyewall is projected to create a path of destruction across the island similar to that of a large-scale tornado. The combination of extreme wind speeds and the storm's intensity has raised significant concerns about widespread damage and potential loss of life.

Authorities are urging residents in the affected areas to take immediate shelter and follow all emergency protocols as Hurricane Melissa continues its approach to the southwestern coast of Jamaica.